조황관리HOME / 조황관리 / 상세정보

제목 : 선외기 감성돔 흘림 대박 조황이 꾸준하게 잡으시네요
등록일 : 2025-09-10



#선외기#흘림#미츄다욧
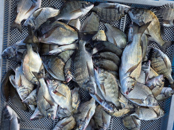
흘림에서 싸이즈가 준수한 녀석들이!!
시원하게 마리수가 보이고 있어요.#선외기 #공지 #이용안내
[ 선외기 이용안내 ]

주말에 선상 예약 못하신 조사님이나 선상이 취향이 아니신 조사님들은 "선외기" 를 추천 드립니다.
출조시간에 구애받지 않으시고 편안하게 돌문어 손맛을 즐길 수 있습니다. 큰 선장님께 말씀 하시면 "포인터" 에 안내해드립니다

✅️ 운영시간 : 일출 전 30분부터 ~오후 4시 철수 
✅️ 선외기는 배마다 "파라솔, 물칸, 뜰채" 구비되어 있습니다.
✅️ 밑밥, 도시락, 소품은 가까운 낚시점에서 꼭 준비 필수입니다.
✅️ 선외기 영업구역내에서는 조종면허가 필요없습니다.
✅️ 구명조끼 착용이 의무화되어 구명조끼 를 꼭 챙겨오세요.
      (조끼가 없으신분들은 대여 하여 드립니다.)

✴️ 선외기 대여료

※ 2인승 : 90.000원
※ 3인승 : 110.000원
※ 4인승 : 130.000원

✅️ 루어 출조시 문어, 갑오징어는 1만원 추가 됩니다.
✅️ 선외기는 선입급 운영합니다. 
      미리 선입급후 예약 출조합니다.
      (아무런 연락없이 출조약속을 어기시는 몇몇 조사님들이 있어           
      다른 조사님들이 출조를 못하시는 경우가 있어서 많은                 
      양해부탁드립니다.)

유촌 희영호를 찾아주시는 조사님들 항상 고맙습니다..
항상 최선을 다하는 선장이 되겠습니다.

✴️ 예약 문의 전화 010-2775-9109 ✴️
✴️ 오시는 길
     (도로명) 경남 통영시 도산면 저산 유촌길66번지.

                   희영레저 사업장.
1757487045215.jpg


1757487045137.jpg


1757487045094.jpg


1757487045028.jpg


1757487045327.jpg


1757487045247.jpg


1757487045443.jpg


1757487044952.jpg


1757487045405.jpg
 

[밴드 초대]
통영선상낚시 유촌희영호&희영레저
#어장낚시
#편한낚시#유촌
Top